Вхід на сайт

Ел. пошта:
Пароль:

Реєстрація на сайті

Призвіще: Область:
Ім'я: Населений пункт:
    По батькові: Номер телефону:
    Ел. пошта: Компанія:
      Пароль: Посада:
      Повторіть пароль: Рік початку роботи:
      Фото:
      З правилами розміщення об'єктів погоджуюсь

      Забули пароль?

      Вкажіть ел. пошту — ми надішлемо Вам новий пароль для входу
      Ел. пошта:

      Проблема на сайті

      Закрити
      Ваш e-mail:
      (необов'язково)
      Розкажіть нам, що сталось

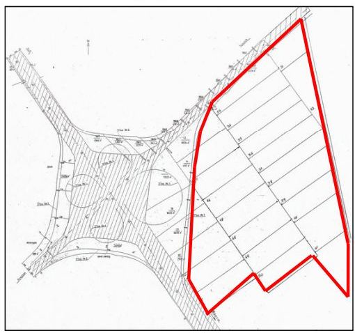
      Киевская трасса — Продається сільськогосподарська ділянка

      (с. Усатово, Беляевский район)

      1400000 $

      Площа ділянки: 1000 сот

      Земельный участок в р-не Клеверного моста, трасса Одесса-Киев

      Земельный участок в р-не Клеверного моста, трасса Одесса-Киев

      До границы города Одессы 2,5 км.
      Прекрасное расположение и просматриваемость – участок граничит одной стороной с трассой Одесса-Киев, другой с Окружной дорогой. Участок пустой, ровный рельеф.
      Участок площадью 10 га ( с возможностью увеличения до 40 га). Целевое назначение: личное крестьянское хозяйство.
      1 км до ближайшего водопровода. 0,7 км до ближайшего газопровода. 0,6 км до ближайшей подстанции. 1 км до ближйшего канализационного канала. 1 км до ближайших линей связи.

      Надіслати скаргу

      Закрити
      Поскаржитися на об'єкт «Киевская трасса (с. Усатово, Беляевский район)»
      Ваш коментар:(Необов'язково)
      Ваша скарга буде надіслана ріелтору, що розмістив об'єкт, а також адміністрації сайту АФНУ.
      Ваше ім'я:
      (Обов'язково)
      Ваш e-mail для відповіді:
      (Обов'язково)

      Коментарі